対象クリニックアイコンの凡例

:銀座高須クリニック
:横浜院
:名古屋院
:栄院
:大阪院
全院
:全院
性別
女性
診療科目
頬をふっくら・脂肪注入 / 顔面脂肪注入
症例写真,頬に脂肪注入を行ってコケた印象を改善した症例写真,Before,ba_faceshibo006_b01.jpg

Before

症例写真,頬に脂肪注入を行ってコケた印象を改善した症例写真,After(3ヶ月後),ba_faceshibo006_b01.jpg

After(3ヶ月後)

症例写真,頬に脂肪注入を行ってコケた印象を改善した症例写真,Before,ba_faceshibo006_b02.jpg

Before

症例写真,頬に脂肪注入を行ってコケた印象を改善した症例写真,After(3ヶ月後),ba_faceshibo006_b02.jpg

After(3ヶ月後)

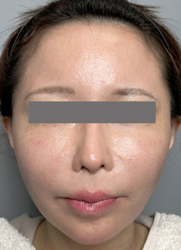
頬の脂肪注入の患者様をご紹介します。

頬骨のすぐ下の部分は凹みやすく、きりっとした印象にも見えますが、年齢を重ねることでたるみに見えてしまったり輪郭がくぼんで見えたりしてしまいます。輪郭を整えてふっくらとさせてあげることによって小顔効果、リフトアップ効果が期待できます。

ふっくらさせるのに最も手軽な方法はヒアルロン酸注入ですが、時間が経つと吸収されてしまうことがデメリットです。

自分の組織を利用した脂肪移植をすることで、半永久的な効果の持続が望めます。

脂肪採取部はお腹や太ももが一般的ですが、太ももの内側が線維が少なく良質な脂肪が採取できるため、顔に脂肪注入をするときにはそこが候補になります。
足の付け根に5mm大の傷を作り、そこから脂肪吸引で脂肪を採取します。
しっかり麻酔しますので脂肪吸引の時の痛みはほとんどありません。

採取した脂肪は不純物を取り除いて良質な脂肪細胞のみを残し、お顔の必要な場所に注入していきます。
脂肪はただ注入するのではなく、生着させることが大切です。
一旦体から完全に分離された組織は、周囲から血管が入って栄養を摂取して初めて、吸収されない生きた脂肪となります。
きちんとした方法で注入しないと生着せず吸収されてボリュームが減ってしまったり、生着しなかった脂肪が石灰化してしこりの原因になったりします。
生着率が上がるよう、丁寧に、適切な量を注入します。

術後、脂肪移植をした部分は「圧迫しないこと」が最も大切です。3ヶ月、できれば半年ほどは注入部分に必要でない圧迫はしないよう気を付けると、生着率が上がります。

患者様は頬コケが気になりヒアルロン酸を注入されていましたが、吸収されないものに置き換えることを希望されました。
ヒアルロニダーゼで一旦残っているヒアルロン酸を溶かした後、コケの気になる部分に脂肪を注入しました。

頬のコケ感が目立ちにくくなり輪郭が滑らかになっています。

料金

顔面脂肪注入 ¥660,000(税込)※脂肪吸引代を含む

銀座

横浜

名古屋

大阪

リスク・副作用・合併症

術後の経過

■術後の経過:正面

施術前

症例写真,頬に脂肪注入を行ってコケた印象を改善した症例写真,施術前,mainpic_faceshibo006a.jpg
小川真里奈医師からのコメント

施術前です。

1週間後

症例写真,頬に脂肪注入を行ってコケた印象を改善した症例写真,1週間後,mainpic_faceshibo006b.jpg
小川真里奈医師からのコメント

1週間後です。

1ヶ月後

症例写真,頬に脂肪注入を行ってコケた印象を改善した症例写真,1ヶ月後,mainpic_faceshibo006c.jpg
小川真里奈医師からのコメント

1ヶ月後です。

3ヶ月後

症例写真,頬に脂肪注入を行ってコケた印象を改善した症例写真,3ヶ月後,mainpic_faceshibo006d.jpg
小川真里奈医師からのコメント

3ヶ月後です。

■術後の経過:斜め

施術前

症例写真,頬に脂肪注入を行ってコケた印象を改善した症例写真,施術前,mainpic_faceshibo006e.jpg
小川真里奈医師からのコメント

施術前です。

1週間後

症例写真,頬に脂肪注入を行ってコケた印象を改善した症例写真,1週間後,mainpic_faceshibo006f.jpg
小川真里奈医師からのコメント

1週間後です。

1ヶ月後

症例写真,頬に脂肪注入を行ってコケた印象を改善した症例写真,1ヶ月後,mainpic_faceshibo006g.jpg
小川真里奈医師からのコメント

1ヶ月後です。

3ヶ月後

症例写真,頬に脂肪注入を行ってコケた印象を改善した症例写真,3ヶ月後,mainpic_faceshibo006h.jpg
小川真里奈医師からのコメント

3ヶ月後です。

この症例と同じ診療科目の
症例写真はこちら

頬をふっくら・脂肪注入

痩せているために、落ち窪んでいたこめかみと頬。頬骨が目立ち、やつれて見られるのが気になっていた方です。脂肪を注入したことで頬骨が目立たなくなり、イキイキとした表情を取り戻しました。
頬骨が目立っているから、頬を削るというのは短絡的すぎますね。大きな手術をしなくても、ご覧のように悩みは改善できるのです。また、脂肪を注入することによって肌にハリが出てたるみも目立たなくなります。顔面脂肪注入には総合的なエイジングケア効果もあるので、ご検討ください。

続きを見る

料金

¥660,000(税込)※脂肪吸引代を含む

銀座

横浜

名古屋

大阪

こけている頬をふっくらさせたいという希望で、頬に脂肪注入を行いました。脂肪注入は、自分の脂肪を注入するため、肌にも馴染みやすく、自然に仕上がります。施術により、頬がふっくらし、肌にもハリが出てきました。

続きを見る

料金

¥660,000(税込)※脂肪吸引代を含む

銀座

横浜

名古屋

大阪

顔面脂肪注入

痩せているために、落ち窪んでいたこめかみと頬。頬骨が目立ち、やつれて見られるのが気になっていた方です。脂肪を注入したことで頬骨が目立たなくなり、イキイキとした表情を取り戻しました。
頬骨が目立っているから、頬を削るというのは短絡的すぎますね。大きな手術をしなくても、ご覧のように悩みは改善できるのです。また、脂肪を注入することによって肌にハリが出てたるみも目立たなくなります。顔面脂肪注入には総合的なエイジングケア効果もあるので、ご検討ください。

続きを見る

料金

¥660,000(税込)※脂肪吸引代を含む

銀座

横浜

名古屋

大阪

こけている頬をふっくらさせたいという希望で、頬に脂肪注入を行いました。脂肪注入は、自分の脂肪を注入するため、肌にも馴染みやすく、自然に仕上がります。施術により、頬がふっくらし、肌にもハリが出てきました。

続きを見る

料金

¥660,000(税込)※脂肪吸引代を含む

銀座

横浜

名古屋

大阪

この症例の診療科目
ページはこちら

性別
年代
施術カテゴリ
診療科目
上記の施術科目と同時に行った診療科目
ドクター
 

※ 施術方法や施術の流れに関しましては、患者様ごとにあわせて執り行いますので、各院・各医師により異なります。予めご了承ください。
※ ホームページ上で掲載されている価格は税込表示となっております。
※ 当院で行う治療行為は保険診療適応外の自由診療になります。

施術方法は200種類以上

どんなお悩みでも
ご相談ください

当サイトは高須クリニック在籍医師の監修のもとで掲載しております。

お問い合わせ

高須クリニックお客様コールセンター

フリーダイヤル

0120-5587-10 0120-5587-35

電話受付時間:9:00〜21:00
※毎月1日の電話予約受付は9:30~21:00です
診療時間:10:00〜19:00

SNS
オフィシャルアカウント

  • 【高須クリニック】LINE公式アカウント
  • Youtube
  • Instagram
  • X(旧Twitter)
  • ブログ

全国の高須クリニックの
医院一覧